澳门金沙娱乐城官网

花府_澳门金沙娱乐城官网关于征收广州市轨道交通九号线澳门金沙娱乐城官网断项目广州北站国有土地上房屋的通知 【花府[2013]4号】

澳门金沙娱乐城官网

您现在的位置: 首页 > 信息公开 > 政策文件 > 政府文件 > 花府

澳门金沙娱乐城官网关于征收广州市轨道交通九号线澳门金沙娱乐城官网断项目广州北站国有土地上房屋的通知 【花府[2013]4号】

发布日期:2013-07-09 15:52    文章来源:区政务公开办     【 字体:   】  访问量: -

 

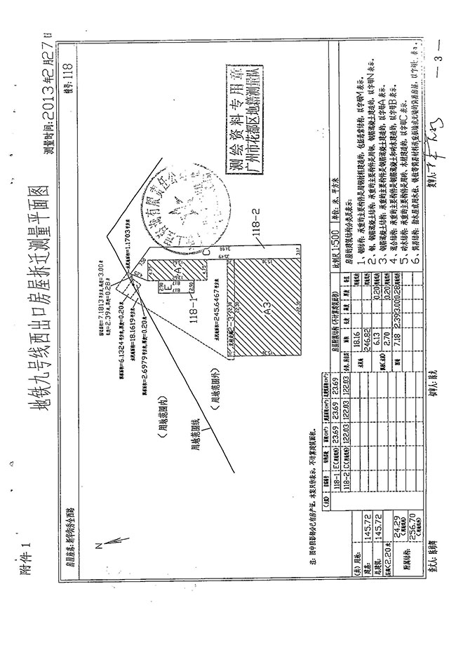
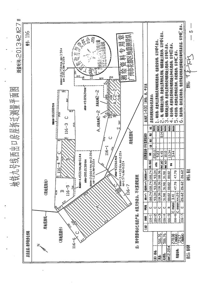
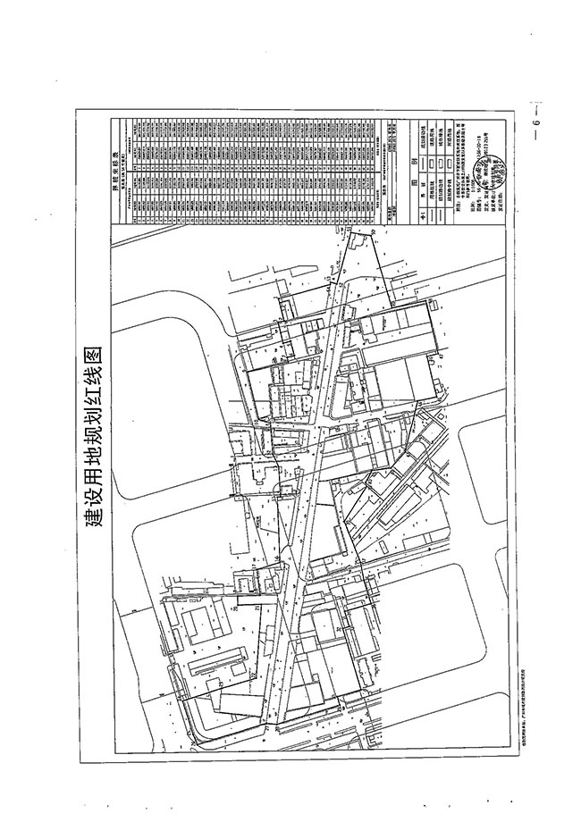
相关附件:
分享到: